W celu realizacji usług strona korzysta z plików cookies zgodnie z
Polityką Prywatności
.
Możesz określić warunki przechowywania lub dostępu do plików cookies zmieniając ustawienia w Twojej przeglądarce
Aby kontynuować musisz zaznaczyć "Akceptuje powyższe warunki"
Akceptuje powyższe warunki
Strona główna
Menu przedmiotowe
>>
Planowanie Przestrzenne
>>
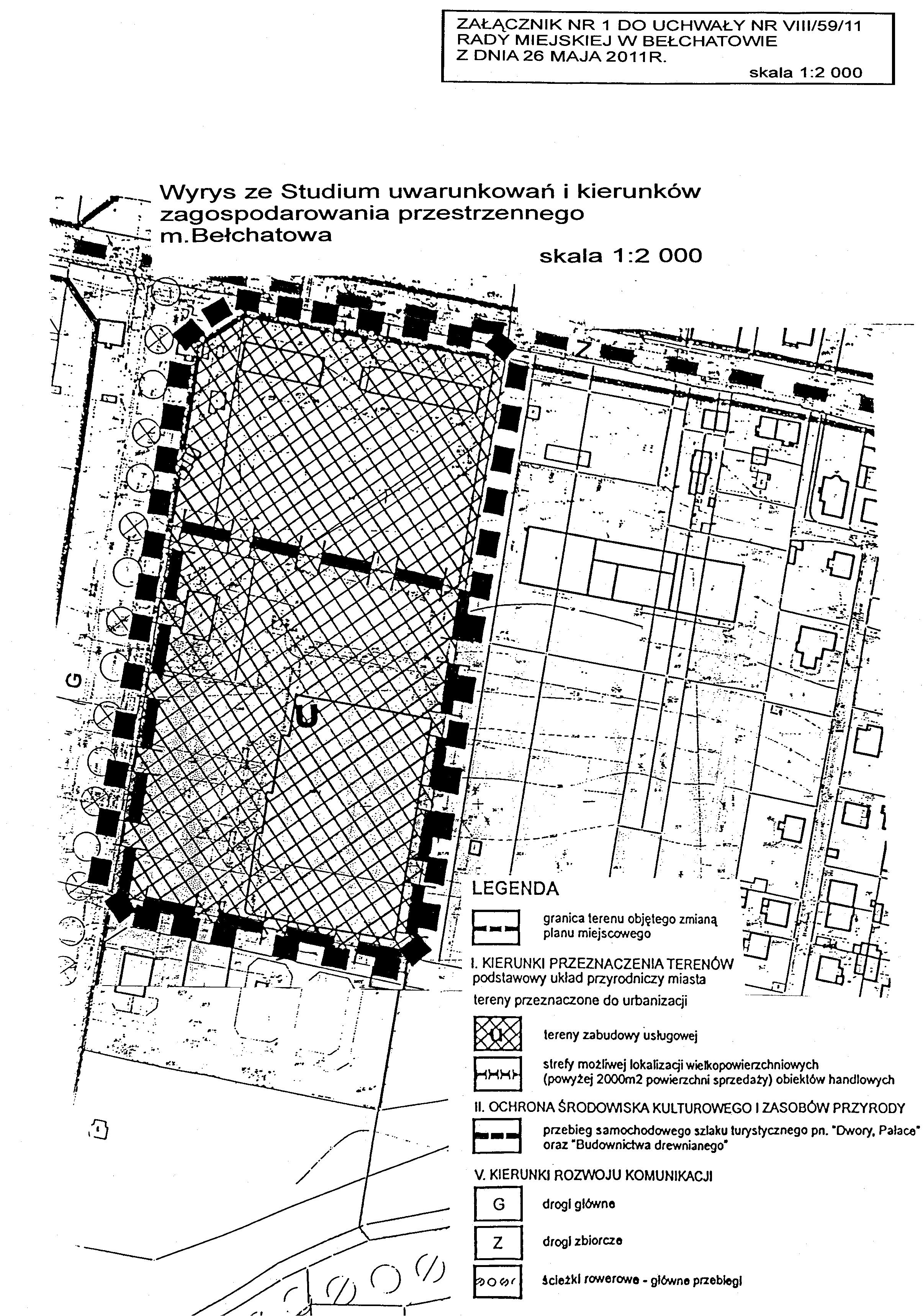
Uchwała Nr VIII/59/11 Zmiana części miejscowego planu zagospodarowania przestrzennego fragmentu miasta Bełchatowa, obszaru ograniczonego ulicami: Staszica, 1 Maja, Kwiatową, pasem zabudowy po południowej stronie Placu Wolności, ulicą Czyżewskiego i Wiosenną oraz rzeką Rakówką - NIEOBOWIĄZUJĄCA
O Biuletynie
Co to jest BIP?
Przepisy prawne dotyczące BIP
Zasady dostępu do informacji publicznej
Ponowne wykorzystywanie informacji publicznej
Redaktorzy BIP Urzędu Miasta Bełchatowa
Polityka Prywatności
Instrukcja BIP
Menu podmiotowe
Samorząd
Urząd Miasta
Samorządowe jednostki
Organizacje pozarządowe
Menu przedmiotowe
Informacje podstawowe
Ogłoszenia i komunikaty
Praca w urzędzie
Realizacja zadań publicznych
Finanse i mienie
Podatki i opłaty lokalne
Programy i raporty
Planowanie Przestrzenne
Prawo lokalne
Audyt i kontrola
Przetargi
Petycje
Zgromadzenia
Oświadczenia majątkowe
Wybory/Referenda
Rejestr zmian
e-URZĄD
Elektroniczna Skrzynka Podawcza
Uchwała Nr VIII/59/11 Rady Miejskiej w Bełchatowie z dnia 26 maja 2011r. - treść
Wersja graficzna planu - część 1
Wersja graficzna planu - część 2
Wersja graficzna planu - część 3
Redaktorzy
Urząd Miasta Bełchatowa, Liczba odwiedzin: 120785915