W celu realizacji usług strona korzysta z plików cookies zgodnie z
Polityką Prywatności
.
Możesz określić warunki przechowywania lub dostępu do plików cookies zmieniając ustawienia w Twojej przeglądarce
Aby kontynuować musisz zaznaczyć "Akceptuje powyższe warunki"
Akceptuje powyższe warunki
Strona główna
Rejestr zmian
O Biuletynie
Co to jest BIP?
Przepisy prawne dotyczące BIP
Zasady dostępu do informacji publicznej
Ponowne wykorzystywanie informacji publicznej
Redaktorzy BIP Urzędu Miasta Bełchatowa
Polityka Prywatności
Instrukcja BIP
Menu podmiotowe
Samorząd
Urząd Miasta
Samorządowe jednostki
Organizacje pozarządowe
Menu przedmiotowe
Informacje podstawowe
Ogłoszenia i komunikaty
Praca w urzędzie
Realizacja zadań publicznych
Finanse i mienie
Podatki i opłaty lokalne
Programy i raporty
Planowanie Przestrzenne
Prawo lokalne
Audyt i kontrola
Przetargi
Petycje
Zgromadzenia
Oświadczenia majątkowe
Wybory/Referenda
Rejestr zmian
e-URZĄD
Elektroniczna Skrzynka Podawcza
#
Nazwa dokumentu
Edytował
Data edycji
Komentarz zmian
XVII Sesja Rady Miejskiej w Bełchatowie
Teresa Milczarek
2011-11-18
Utworzenie dokumentu
Zarządzenie Nr 349 z dnia 7 listopada 2011 r. w/s rozpatrzenia uwagi, złożonej przez mieszkańców ulicy Emilii Plater do ustaleń projektu miejscowego planu zagospodarowania przestrzennego fragmentu miasta Bełchatowa - obszaru osiedla Dolnośląskiego
Marta Blada
2011-11-18
Utworzenie dokumentu
Zarządzenie Nr 349_2011.jpeg
Marta Blada
2011-11-18
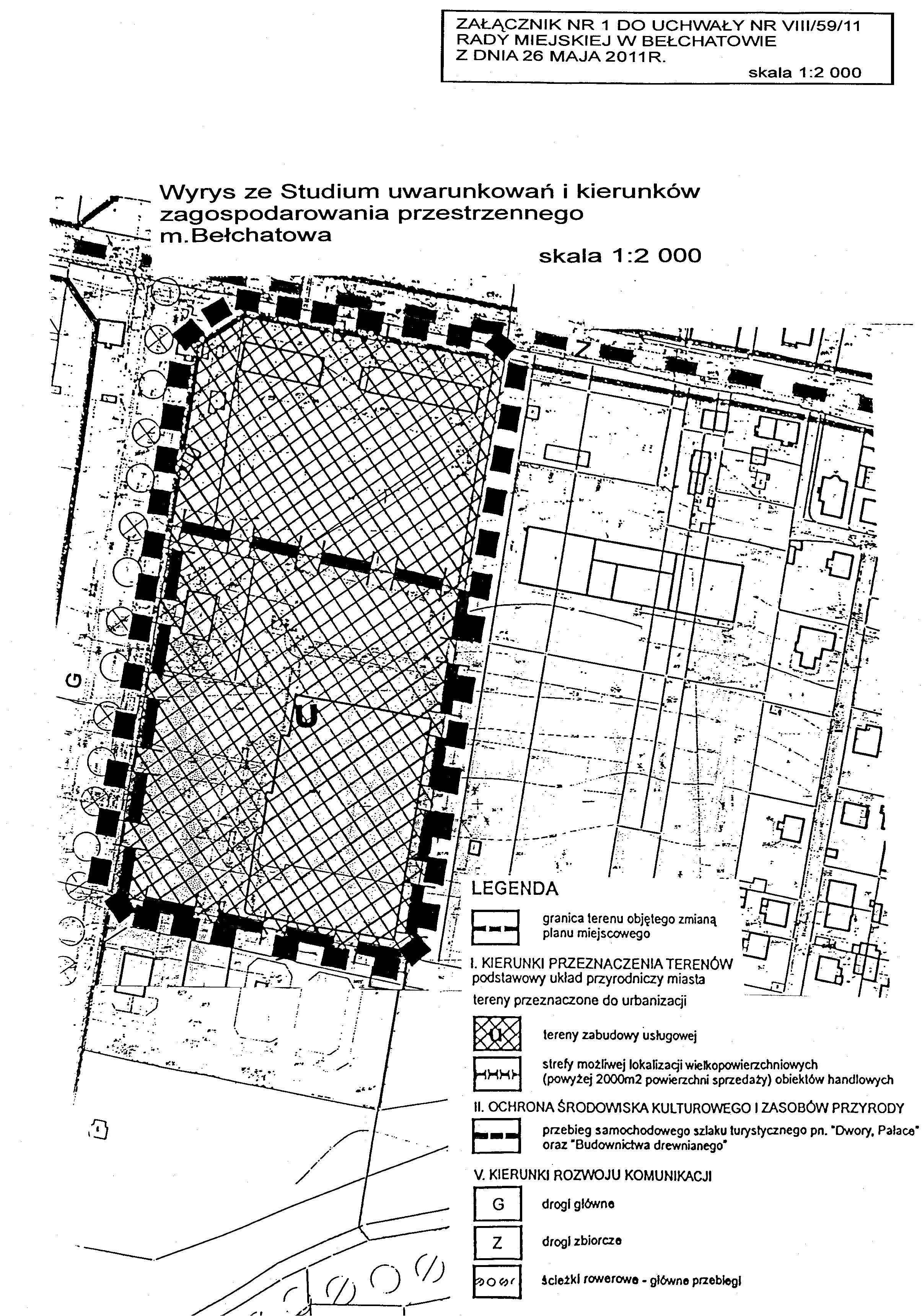
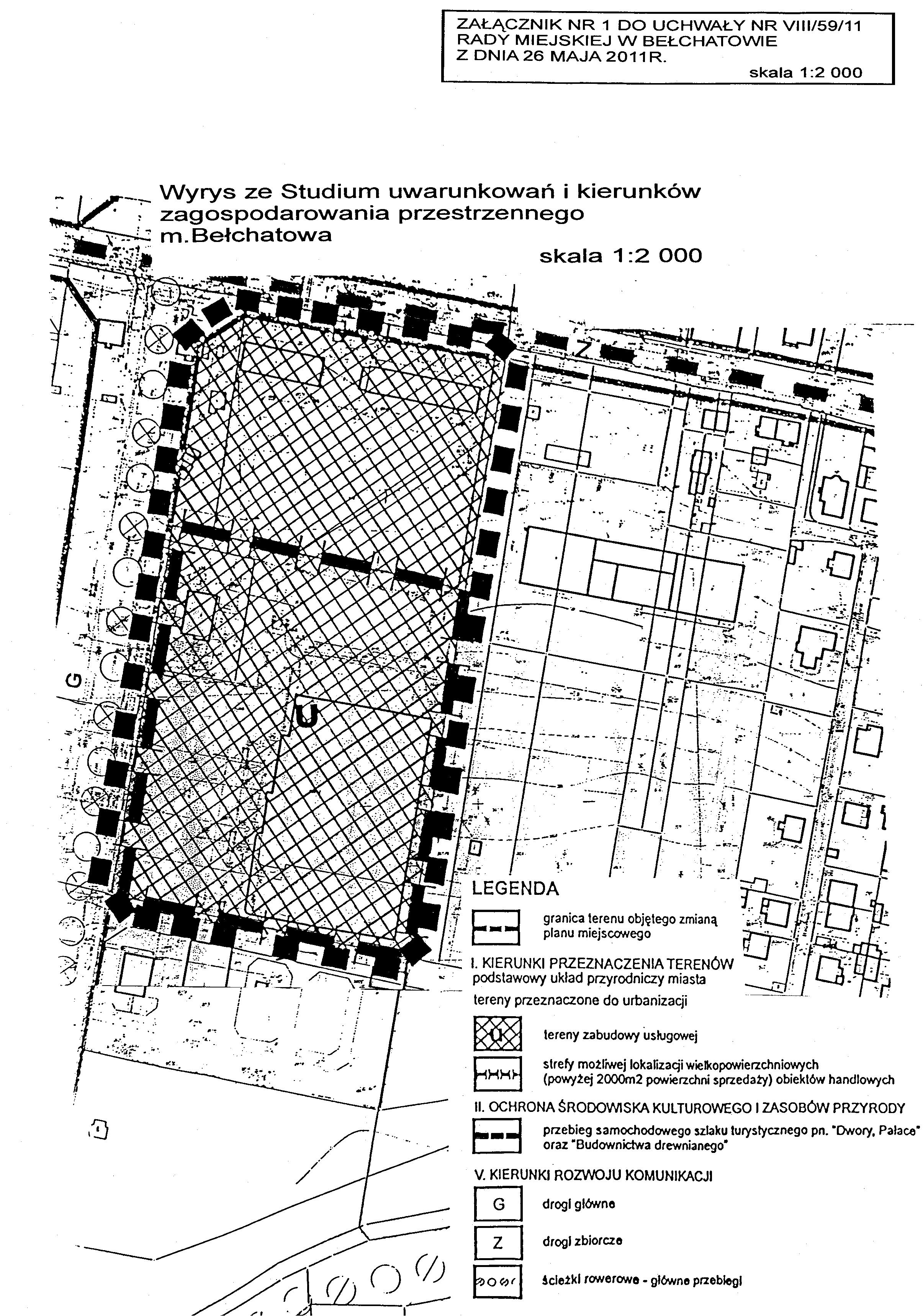
Załącznik nr 1 - str .1.jpeg
Marta Blada
2011-11-18
Załącznik nr 1 - str. 2.jpeg
Marta Blada
2011-11-18
Załącznik nr 2.jpeg
Marta Blada
2011-11-18
Zarządzenie Nr 350 z dnia 7 listopada 2011 r. w/s rozpatrzenia uwagi, złożonej przez Wspólnotę Mieszkaniową Nieruchomości nr 341 na osiedlu Dolnośląskim w Bełchatowie do ustaleń projektu miejscowego planu zagospodarowania przestrzennego fragmentu miasta Bełchatowa - obszaru osiedla Dolnośląskiego
Marta Blada
2011-11-18
Utworzenie dokumentu
Zarządzenie Nr 350_2011.jpeg
Marta Blada
2011-11-18
Załącznik nr 1 - str. 1.jpeg
Marta Blada
2011-11-18
Załącznik nr 1 - str. 2.jpeg
Marta Blada
2011-11-18
Załącznik nr 2.jpeg
Marta Blada
2011-11-18
Zarządzenie Nr 351 z dnia 7 listopada 2011 r. w/s rozpatrzenia uwagi, złożonej przez T.S. i A.S. do ustaleń projektu miejscowego planu zagospodarowania przestrzennego fragmentu miasta Bełchatowa - obszaru osiedla Dolnośląskiego
Marta Blada
2011-11-18
Utworzenie dokumentu
Załącznik nr 1 - str. 2.jpeg
Marta Blada
2011-11-18
Załącznik nr 2.jpeg
Marta Blada
2011-11-18
Zarządzenie Nr 352 z dnia 7 listopada 2011 r. w/s rozpatrzenia uwagi, złożonej przez Ł. i P. P. do ustaleń projektu miejscowego planu zagospodarowania przestrzennego fragmentu Miasta Bełchatowa - obszaru osiedla Dolnośląskiego
Marta Blada
2011-11-18
Utworzenie dokumentu
Załącznik nr 2.jpeg
Marta Blada
2011-11-18
Zarządzenie Nr 353 z dnia 7 listopada 2011 r. w/s rozpatrzenia uwag, złożonych przez S. M. i U. Z. do ustaleń projektu miejscowego planu zagospodarowania przestrzennego fragmentu miasta Bełchatowa - obszaru osiedla Dolnośląskiego
Marta Blada
2011-11-18
Utworzenie dokumentu
Załącznik nr 2.jpeg
Marta Blada
2011-11-18
Załącznik nr 3.jpeg
Marta Blada
2011-11-18
Załącznik nr 4.jpeg
Marta Blada
2011-11-18
«
663
664
665
666
667
668
669
670
671
672
673
»
Redaktorzy
Urząd Miasta Bełchatowa, Liczba odwiedzin: 115037747